What is a VISIA Skin Analysis? The Secret Weapon of Our Complimentary Consultation.

VISIA Facial (or VISIA Skin Analysis) is a sophisticated diagnostic procedure that utilizes multi-spectral imaging to provide a comprehensive, “subcutaneous” assessment of your skin’s health. This technique is commonly used by dermatologists to develop personalized skincare regimens based on data-driven insights rather than relying solely on visual inspection.

At Fisher Dermatology & Aesthetics, we understand that you may already have an idea of the skin treatments you desire, and we’re thrilled to offer those to you.

Additionally, we provide a complimentary skin consultation service to all our customers, utilizing our extensive expertise and the VISIA Skin Analysis System. This allows us to determine the most suitable treatments for your skin condition based on real data rather than mere guesswork.

What is a Skin Analysis Machine?

The VISIA system consists of a rotating camera that captures a comprehensive view of your face using UV and other light sources. This enables us to assess the condition of your skin, both on the surface and beneath it. The other component is the software that interprets the resulting images and facilitates our analysis.

How does VISIA Skin Analysis Work?

  • Preparation: To ensure an accurate scan, please remove all makeup and skincare products.

  • Imaging: Place your chin on a rest while a specialized camera rotates around your face to capture frontal and side views.

  • Analysis: The software compares your results against a database of thousands of individuals of the same age, sex, and skin type.

  • Reporting: You’ll receive a “Skin Age” score and a percentile ranking for each category.

Subsequently, the program calibrates to your skin tone and outlines your face on the screen. This essentially instructs the computer on the optimal focus for the most accurate results. With this information, the VISIA completes its skin analysis within approximately one minute, computing specific facial features such as wrinkles, blemishes, pore size, and more.

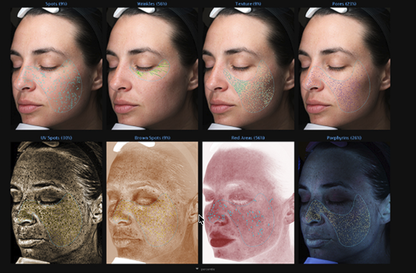
On the screen, you’ll see eight images corresponding to each feature analyzed by the VISIA scan, along with a score for each. These scores are percentile values, comparing your measurements to those of individuals of the same age within a database comprising over 250,000 people. For instance, a score of 60 in wrinkles means you have fewer wrinkles than 60 percent of individuals of your age in the database.

The VISIA scan provides images and scores for the following features:

  • Visible Spots: These are solar lentigos, seborrheic keratoses, or other discolored brown and red spots that can be seen with the naked eye.

  • Wrinkles: This assessment involves a detailed examination of every line in the face, resulting in a more accurate evaluation compared to a mirror inspection.

  • Texture: This evaluation analyzes the raised and depressed areas of the skin, assessing the overall smoothness.

  • Pores: This score quantifies the enlargement of pores.

  • UV Spots: Using UV light, the VISIA reveals sun damage to the skin that is not visible to the naked eye.

  • Brown Spots: The VISIA also provides an image of the brown spots beneath the skin’s surface.

  • Red Areas: This image reveals conditions such as inflammation or spider veins.

  • Porphyrins: Porphyrins are substances secreted by bacteria on the skin, and an elevated concentration of these substances indicates clogged pores or excess skin oiliness that can lead to acne.

By analyzing all this data, the VISIA can provide an assessment called the “true skin age.” This assessment goes beyond entertainment or superficial judgments. It offers a comprehensive evaluation of whether corrective measures are needed to address the sun’s cumulative damage to the skin over time and provides guidance on enhancing future protection against environmental factors.

In addition to these primary assessments, the VISIA offers supplementary information that may be of interest to some individuals. For instance, it can measure eyelash length and provide a 3D view of the skin using a topographical viewer. For those who are particularly adventurous, the VISIA can simulate the appearance of the individual at the age of 80, assuming no preventive measures are taken against sun exposure and pollution. However, it’s important to note that this step is optional and doesn’t influence the recommendations provided.

Next Steps: Skin Care and Treatment

At Fisher Dermatology & Aesthetics, we are dedicated to providing you with comprehensive skin analysis and personalized care. Once you receive your VISIA Skin Analysis results, we will discuss your skin concerns and preferences.

During our consultation, we will analyze the VISIA data to identify areas of concern and recommend appropriate skin care adjustments. We will explore various treatment options, such as IPL laser treatments, microneedling, or chemical peels, to address specific issues like sunspots, redness, or uneven skin tone. Our approach is patient-centered, and we prioritize your education and empowerment. We won’t pressure you into making decisions; instead, we’ll provide you with the information and support to make informed choices that align with your individual needs.

One of the unique benefits of VISIA is its ability to assess your skin’s condition after treatments or changes to your skin care regimen. This allows us to monitor your progress and ensure that your skin is improving.

To schedule your VISIA Skin Analysis today, please contact us at 301-652-2585.

Next
Next

Chemical Peel